Kursy walut NBP: USD 3,98 | EUR 4,32 | CHF 4,53 |

Wyszukiwarka
Notes
Zgłoś ofertę
Kalkulator
O nas
Kontakt

Mieszkania
Domy
Działki
Lokale
Obiekty
Szczegóły oferty
Rodzaj oferty
działka budowlana ( sprzedaż )
Numer oferty
12643789
Miejscowość
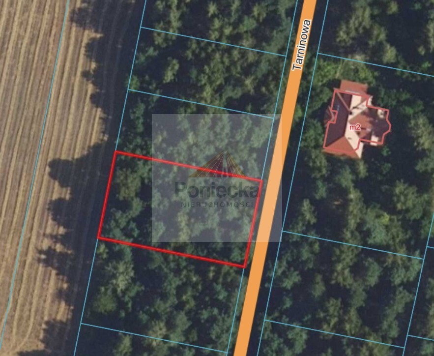
KUKLÓWKA RADZIEJOWICKA
Ulica
Tarninowa
Cena
280 000 PLN kalkulator
Cena za mkw
195,53 PLN mkw
Powierzchnia
1432.00 m2
Droga dojazdowa
polna
Opis
Na sprzedaż działka budowlana o powierzchni 1432 m2, położona w miejscowości Kuklówka Radziejowicka, gmina Radziejowice, powiat żyrardowski, woj. mazowieckie.

Przeznaczenie terenu
Zgodnie z miejscowym planem zagospodarowania przestrzennego
- symbol 3MN
- przeznaczenie zabudowa mieszkaniowa jednorodzinna (wolnostojąca)
Idealna propozycja pod budowę domu w spokojnej, zielonej okolicy z szybkim dojazdem do Warszawy.

Lokalizacja i okolica
Kuklówka Radziejowicka to kameralna, malownicza miejscowość położona nad rzeką Pisią Tuczną, znana z ciszy, zieleni i luźnej zabudowy jednorodzinnej.

Atuty nieruchomości
regularny kształt działki
spokojna, zielona okolica
obowiązujący MPZP
zabudowa jednorodzinna - gwarancja kameralnego charakteru
dogodny dojazd do Warszawy

Komunikacja i dojazd
Samochodem
- Warszawa - ok. 40-45 km (ok. 35-45 min)
- Grodzisk Mazowiecki - ok. 8 km
- Żyrardów - ok. 10-12 km
- szybki dojazd do trasy S8 i A2
Transport publiczny
- autobusowa komunikacja lokalna (połączenia do Grodziska i okolic)
- stacje kolejowe
- Grodzisk Mazowiecki i Jaktorów (ok. 7-9 km) - szybkie połączenia kolejowe do Warszawy
Dzięki temu nieruchomość świetnie sprawdzi się zarówno jako miejsce do życia na stałe, jak i inwestycja.

W najbliższej okolicy znajdują się
- tereny rekreacyjne, lasy i trasy rowerowe
- lokalne zabudowania jednorodzinne oraz siedliska
- Muzeum Lwowa i Kresów w stylowym dworku
- liczne atrakcje w promieniu kilku kilometrów
- Park of Poland - Suntago (ok. 10-12 km)
- Aquaparki w Mszczonowie i Żyrardowie
- oferta kulturalna i usługowa w Grodzisku Mazowieckim

To miejsce idealne dla osób szukających równowagi między naturą a wygodnym dostępem do miasta.

Dodatkowe informacje: media - prąd, media - gaz

Kontakt do agenta

Dorota Poniecka Nieruchomości
Sarmacka 12 E lok.12
02-972 Warszawa
tel.: 505 059 024 lub 516 156 467
email: dorota@nieruchomoscidp.pl

Wyślij zapytanie

Imię i Nazwisko
Telefon
E-mail
Treść zapytania

Wyrażam zgodę na przetwarzanie moich danych osobowych przez firmę Dorota Poniecka Nieruchomości dla celów związanych z działalnością pośrednictwa w obrocie nieruchomościami, jednocześnie potwierdzam, iż zostałem poinformowany o tym, iż będę posiadać dostęp do treści swoich danych do ich edycji lub usunięcia.

Wyślij ofertę

E-mail
© 2026 Dorota Poniecka Nieruchomości. Wszystkie prawa zastrzeżone.